Tamjeyert, Dadès

Roger Mimó :

LE PATRIMOINE ARCHITECTURAL DU SUD DU MAROC

Hôtel Tomboctou, Tinghir

Inventaire architectural du sud du Maroc > Anti-Atlas occidental > Agadir Inif (Ouguezmir)

Agadir Inif (Ouguezmir)

Typologie : grenier collectif.

GPS : 30º 07,432’ N, 8º 53,062’ W.

Taille : 1700 m2.

Date de construction : vers le XVIIIe siècle.

État de conservation en 2021 : assez bon.

Photos actuelles :

Agadir Inif
Julio Soriano
Agadir Inif
Julio Soriano

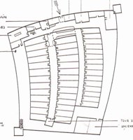
Croquis :

Agadir Ouguezmir
Dj. Jacques-Meunié

Mentions bibliographiques : Herbert Popp, Mohamed Aït Hamza et Brahim El Fasskaoui : Les agadirs de l’Anti-Atlas occidental, page 280. Jacques-Meunié, Dj. Greniers-citadelles au Maroc, page 56.

Monument antérieur Monument suivant
Biographie de Roger Mimó Qu’est-ce qu’une kasbah? Loger dans une ancienne kasbah. Kasbahs en vente. Livres de Roger Mimó.
Oeuvres de la famille de Roger MimŽoacute; Les montagnes du Maroc. La route des mille kasbahs. Tinghir et la vallée du Todra Le voyage d’Ali Bey.

Contact avec l’auteur : E-mail de Roger Mimó.

© Roger Mimó. Version française : Marc Belin.